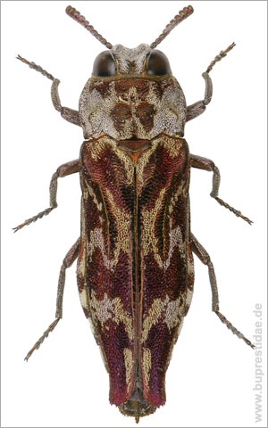
Agrilus spathulatus (Obenberger, 1931)
General distribution: Namibia, South Africa
Province records: ER, KA
♂: NA, Karas, 36 km SW Grünau, Gamchab River,
1140 m.s.l., SGCB.

Type locality:
Sandfontein, Namibia
Type repository:
Holotype ♂: NMPC
Ecology:
Collected and reared from Acacia erioloba E. Mey. (Fabaceae). Bellamy (2001) also reports records from A. karoo Hayne.
Flight period:
II, XI
Size:
~8.5 mm
Remarks:





© Copyright 2012. All rights reserved.